Kapari Evde Nasıl Bakılır? Kapari Bitkisinin Özellikleri
Şifa deposu kapari bitkisi nedir, evde nasıl yetiştirilir? Mutfağınıza lezzet katan kaparinin kullanımı, mucizevi faydaları ve bakım özelliklerini öğrenin. Kapari hakkında merak ettiğiniz tüm detayları keşfedin.

Kapari Nedir?
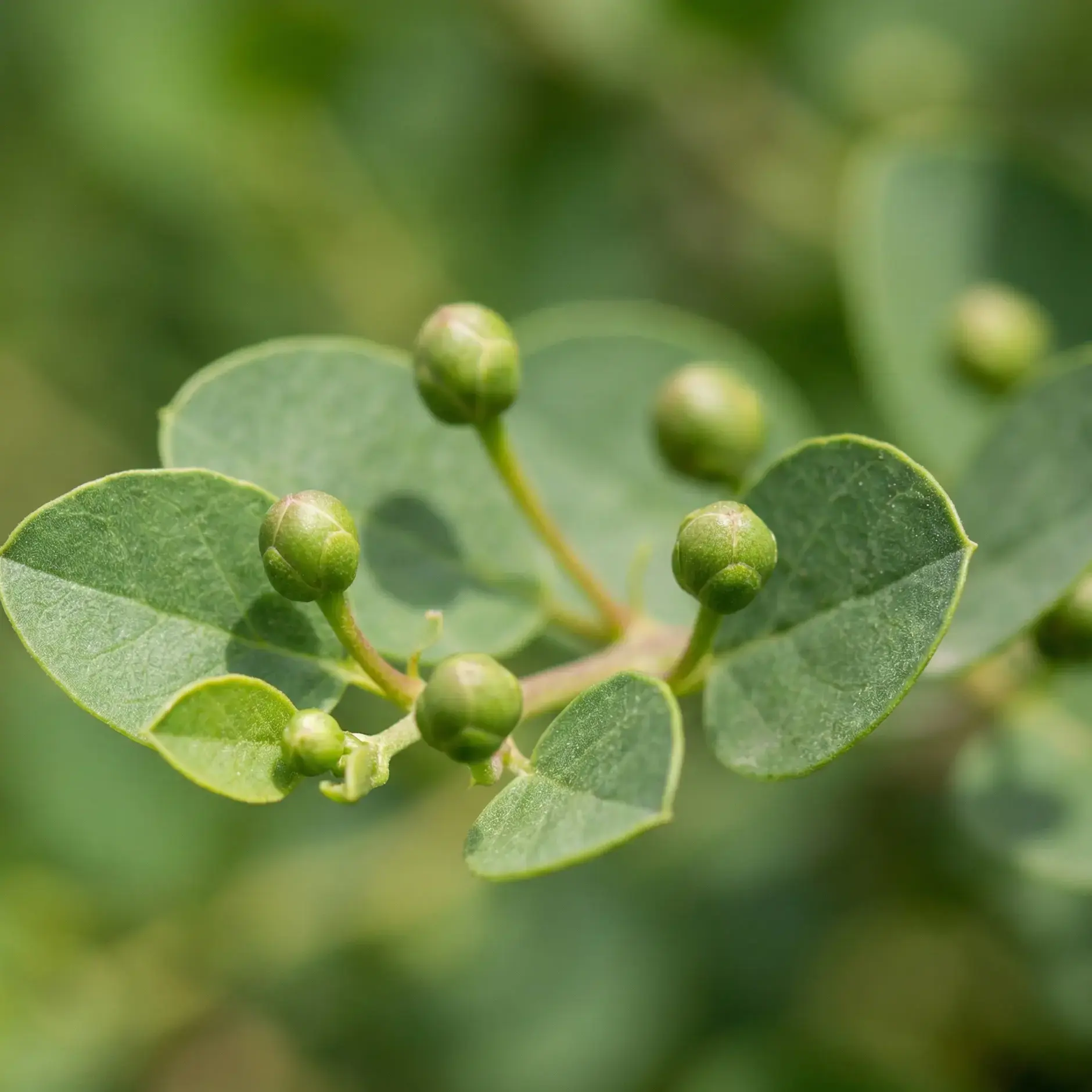
Kapari (gebere otu), Akdeniz iklimine özgü, çalımsı ve dikenli bir bitki olan Capparis spinosa'nın henüz açılmamış çiçek tomurcuklarına verilen addır. Zorlu doğa koşullarına oldukça dayanıklı olan bu bitki, kurak ve taşlık arazilerde dahi kendiliğinden yetişebilir. Bezelye tanesi büyüklüğündeki bu yeşil tomurcuklar, toplanıp işlemden geçirilerek gıda sektöründe önemli bir yere sahip olur.
Mutfaklarda genellikle salamura veya turşu halinde tüketilen kapari, kendine has buruk, ekşimsi ve aromatik tadıyla yemeklere karakteristik bir lezzet katar. Özellikle balık yemeklerinde, salatalarda, pizzalarda ve çeşitli soslarda (örneğin tartar sos) dengeleyici bir unsur olarak kullanılır. Lezzetinin yanı sıra güçlü antioksidan özellikleri, lif oranı ve düşük kalorisiyle de besleyici bir garnitür olarak kabul edilir.

Kapari Türkiye'de Nerelerde Yetişir?
Türkiye'de kapari bitkisi, başta Akdeniz ikliminin hakim olduğu Ege ve Akdeniz kıyı şeridi olmak üzere, Güneydoğu Anadolu'dan (Mardin, Şanlıurfa, Batman) Karadeniz'in mikro klima özelliği gösteren bazı yörelerine (Artvin, Zonguldak) ve Orta Anadolu'ya (Tokat, Kırıkkale) kadar oldukça geniş bir coğrafyada doğal olarak yetişir. Özellikle İzmir, Antalya, Burdur, Muğla ve Çanakkale gibi illerde yoğunlukla rastlanan bu kanaatkâr bitki; tarıma elverişsiz, kireçli, taşlık, kurak arazilerde ve güneye bakan yamaçlarda kendiliğinden yetişebildiği gibi, son yıllarda ekonomik değeri nedeniyle Burdur, Denizli ve Batman gibi illerde kültüre alınarak özel olarak da üretilmektedir.
Kapari Nasıl Kullanılır?
1. Kapari Turşusu
Kaparinin en yaygın kullanım şekli turşudur. Ham tomurcukların acılığını gidermek ve uzun süre saklamak için bu yöntem şarttır.
2. Yemeklerde Kullanımı
Kapari turşusu veya tuzlanmış kapari, yemeklere "son dokunuş" olarak eklenir. Yüksek tuz oranı nedeniyle kullanmadan önce dikkat edilmelidir.
3. Kapari Çayı
Kapari bitkisinin sadece tomurcukları değil, yaprakları ve meyveleri de kurutularak çay yapımında kullanılabilir.

Kapari Bitkisi Evde Yetiştirilir mi?
Kapari bitkisi doğru koşullar sağlandığında evde, özellikle de geniş saksılarda ve balkonlarda yetiştirilebilir. Güneşi çok seven bir bitki olduğu için saksının günde en az 6-8 saat doğrudan güneş ışığı alan (tercihen güneye bakan) bir konuma yerleştirilmesi ve köklerinin çürümemesi için geçirgenliği yüksek, kumlu-taşlı bir toprak karışımı kullanılması gerekir; kışın soğuktan korumak adına iç mekana alınabilmesi ve aşırı sulamadan kaçınılması şartıyla, ev ortamında da bu dayanıklı bitkiden verim almanız mümkündür.
Evde Kapari Bitkisi Bakımı Nasıl Yapılır?
1. Saksı ve Toprak Seçimi
Kapari, köklerinin derinlere gitmeyi sevdiği bir bitkidir. Bu nedenle derin (en az 30-40 cm) ve drenaj delikleri olan bir saksı tercih etmelisiniz.
2. Güneş ve Konum (En Önemli Kural)
Bu bitki tam bir güneş aşığıdır. Evinizin en çok güneş alan, tercihen güneye bakan pencere önü veya balkonu onun için en uygun yerdir. Günde en az 6-8 saat doğrudan güneş ışığı almazsa cılız kalır ve tomurcuk (kapari) vermez.
3. Sulama Dengesi
Kapari kuraklığa dayanıklıdır ve "ıslak ayaklardan" (sürekli ıslak köklerden) nefret eder.
4. Budama (Kış Uykusu)
Kapari bitkisi kışın yapraklarını döker ve kurumuş çalı gibi görünür; bu normaldir, bitki ölmemiştir.
5. Isı ve Kış Koruması
Kapari sıcak sever, ancak aşırı soğuklara (don olaylarına) karşı saksıda daha hassastır. Eğer yaşadığınız bölgede kışın sıcaklık 0 derecenin altına düşüyorsa, saksıyı kapalı bir balkona veya serin ama don olmayan bir iç mekana almanız bitkiyi koruyacaktır.
Kapari Faydaları Nelerdir?
Kapari, yüzyıllardır hem mutfaklarda lezzet verici olarak hem de geleneksel tıpta şifa amacıyla kullanılan, besin değeri oldukça yoğun bir bitkidir. İçeriğindeki zengin A, K ve E vitaminlerinin yanı sıra demir, kalsiyum ve magnezyum gibi minerallerle vücut direncini desteklerken, sahip olduğu flavonoidler (özellikle kuersetin ve rutin) sayesinde hücreleri serbest radikallerin zararlı etkilerine karşı koruyan güçlü bir antioksidan deposu olarak bilinir.
Kaparinin faydaları şunlardır:
Kapari bitkisi kaç günde bir sulanmalıdır?
Kapari, doğası gereği kuraklığa son derece dayanıklı bir bitkidir ve "ıslak ayaklardan" (sürekli nemli kök) hiç hoşlanmaz; bu nedenle aşırı sulama bitkinin en büyük düşmanıdır. Yetişkin bir kapari bitkisi doğal ortamında neredeyse hiç suya ihtiyaç duymazken, saksıda yetiştirilen veya yeni dikilen fideler için yaz aylarında toprağın tamamen kurumasını bekleyerek haftada bir kez su vermek yeterlidir. Kış aylarında bitki uyku dönemine girdiği için sulama neredeyse tamamen kesilmeli, sadece toprağın çöl gibi kurumasını önleyecek kadar ayda bir kez hafifçe nemlendirilmelidir.
Kapari ne zaman ve nasıl budanır?
Kapari bitkisinden verim alabilmek için her yıl düzenli sert budama yapılması şarttır çünkü bitki çiçek tomurcuklarını sadece o yıl verdiği taze sürgünler üzerinde oluşturur. Budama işlemi için en uygun zaman, kış uykusunun sonu olan ancak henüz yeni filizlerin uyanmadığı Şubat sonu veya Mart başıdır. Bu dönemde bitkinin toprak üstünde kalan tüm dalları, toprak seviyesinden yaklaşık 3-5 cm yukarıda kalacak şekilde kesilmeli; böylece baharla birlikte köklerden çok daha güçlü ve bol tomurcuklu yeni sürgünlerin fışkırması sağlanmalıdır.
Kapari kış soğuklarına dayanıklı mıdır?
Toprakta yetişen yetişkin kapari bitkileri -10 dereceye kadar soğuklara dayanabilirken, saksıdaki bitkilerin kökleri donmaya karşı çok daha savunmasızdır. Bitki kışın yapraklarını döküp çalı formuna bürünür ve uykuya geçer; bu dönemde eğer saksıda bakıyorsanız bitkiyi mutlaka don olaylarından korunaklı, kapalı bir balkona veya aydınlık ama serin bir iç mekana almanız gerekir. Bahçedeki bitkiler için ise kök boğazının üzerine saman veya toprak yığarak (malçlama yaparak) kökleri aşırı soğuktan korumak, bitkinin ertesi bahara sağ salim çıkmasını sağlar.
Kapari için en uygun toprak karışımı hangisidir?
Kapari, birçok bitkinin yaşayamadığı fakir, kireçli ve taşlı toprakları seven kanaatkâr bir bitkidir ve torf gibi su tutan hazır poşet topraklarda kök çürümesi yaşayarak kısa sürede ölür. Evde saksıda yetiştirirken doğal ortamını taklit etmek için standart bahçe toprağına bol miktarda (%40-50 oranında) dere kumu, ince çakıl veya perlit karıştırmak hayati önem taşır. Bu karışım, suyun saksıda beklemeden hızla akıp gitmesini sağlar (drenaj) ve kaparinin köklerinin ihtiyaç duyduğu havadar ortamı yaratır.

















